首頁
政治要聞
社會新聞
觀光美食
教育文化
醫療慈善
生活社團
藝文園地
WHAT ARE YOU LOOKING FOR?
Popular Tags
Videos
Tags
News
Nation
Music
Mega Menu
Features
Dropdown
首頁
政治要聞
社會新聞
觀光美食
教育文化
醫療慈善
生活社團
藝文園地
大武警協助預防性封閉東63鄉道段並緊急救助老翁
本報記者
生活社團
2024年10月03日
和仁~崇德13時、15時、17時開放通行 18時預警性封閉
汪志宏
生活社團
2024年10月03日
金崙大橋北端入口路「樹倒塌阻礙道路」警、民協力迅速清除
陳淑鈴
生活社團
2024年10月03日
對號列車今(3)午后仍全部停駛! 泥流溢流淹沒「東正線軌道」和仁=崇德間中斷
陳淑鈴
生活社團
2024年10月03日
山陀兒颱風來襲 臺20線初來橋南端驚見「黃河」
汪志宏
生活社團
2024年10月03日
蘇花和中~和仁今晨、東澳~南澳13時解除預警性封路、崇德路段預計15時搶通
汪志宏
生活社團
2024年10月03日
颱風山陀兒來襲! 台東市青海路段狂湧「土石泥流」
陳維玠
生活社團
2024年10月03日
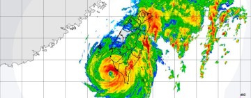
山陀兒縮小了! 中午前後登陸南部 觸陸將迅速減弱
陳淑鈴
生活社團
2024年10月03日
全台公路14處預警性封路中
汪志宏
生活社團
2024年10月03日
378
379
380
381
382
383
384
385
386
387
Back To Top
Home
Magazine
Tech Blog
News
Asia
Business
Nation
Politics
Health
Sports
Tech
Lifestyle
Finance
Video
Authors
Login
Registration